낚시배소개
낚시배예약
조황정보
낚시자료실
커뮤니티
주변관광지
마이페이지
로그인
회원가입
오시는길
선박소개
안흥낚시소개
오시는길
출조안내
출조종류
예약도우미
예약하기
예약확인
조황갤러리
낚시동영상
제임스이야기
물때표보기
한국기상정보
일본기상정보
미국기상정보
공지사항
자주하는질문
문의게시판
초보자교실
요리교실
상품소개
주변볼거리
추천음식점
추천숙박업소
나의예약내역
포인트현황
나의출조내역
일행관리
회원정보수정
2025 .
10
일
월
화
수
목
금
토
1
2
3
4
5
6
7
8
9
10
11
12
13
14
15
16
17
18
19
20
21
22
23
24
25
26
27
28
29
30
31
조황갤러리
낚시동영상
제임스이야기
온라인 입금
MG마을금고
9003-2368-0809-3
예금주 : 박숙남
전체
신정호
뉴신정호
레인져호
행운호
안성호
나르샤호
시간제낚시
쭈꾸미낚시
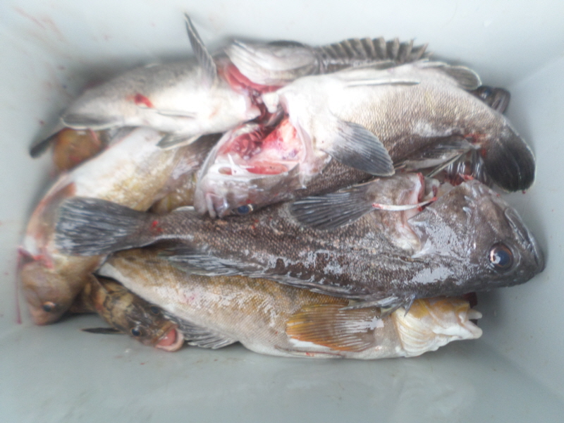
레인져호
2025 년 10 월 02 일
(출조 : 근해침선)
2012
2013
2014
2015
2016
2017
2018
2019
2020
2021
2022
2023
2024
2025
2026
년
01
02
03
04
05
06
07
08
09
10
11
12
월
선택
01
02
04
05
07
12
13
16
17
25
26
28
29
30
31
일
조회
신정호
뉴신정호
레인져호
행운호
안성호
나르샤호
시간제낚시
쭈꾸미낚시
흐림
0.5~1.5m
좋음
10~20
광어(60)
이전
다음
이전
다음
/
전체보기
신정호
뉴신정호
레인져호
행운호
안성호
나르샤호
시간제낚시
쭈꾸미낚시